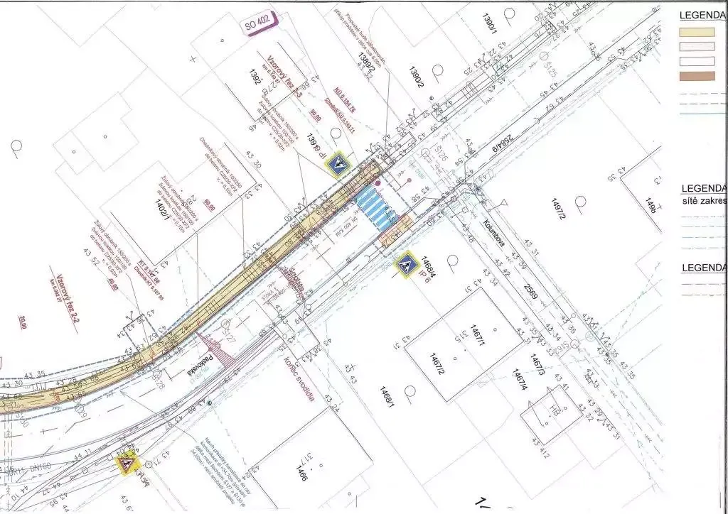
Paní Jana Faicová vyhověla mé žádosti a zaslala mi koordinační situační výkres chodníku podél Paskovské ulice v zatáčce u statku. Děkuji! Pro chodce se jedná o velice nebezpečné místo, které musí překonat, chtějí-li se dostat např. na zastávku městské hromadné dopravy, nebo jít k Pilíkům. V současnosti je jediná bezečná možnost jít přes nádvoří statku.
Projektová dokumentace byla zpracovávána v roce 2013, ale jelikož je nutné zkoordinovat stavbu chodníku se stavbou nového mostu na Paskovské ulici v souvislosti se zkapacitněním odlehčovacího kanálu Ščučí, se stavbou kanalizace 5. etapy a s přeložkou plynovodu, nebyla dokumentace (a díky dalším problémům) dokončena.
Dle paní Faicové již v současné době předložený výkres neodpovídá dnešním vyhláškám a normám, tudíž by se musela v případě, že by měl městský obvod zájem akci realizovat, zpracovat nová projektová dokumentace. Má však bezpečnost chodců v zapomenuté části Hrabové větší prioritu, než studie či projektová dokumentace rozšíření tělocvičen u školy? Věřím, že nemá a rada městského obvodu co nejdříve objedná vyhotovení nové dokumentace.








