Zuzana Bajgarová: Skutečně hledáme řešení, které zvýší bezpečnost podchodu u Šídlovce

Na konci května si „Ostravák na kole“ posteskl na sociálních sítích, jak vyřešil MOb Ostrava-Hrabová ve spolupráci s Jihem bezpečnost chodců a cyklistů u podchodu zastávky Benzina. Na jeho příspěvek zareagovala náměstkyně primátora Zuzana Bajgarová a já jsem začal polemizovat nad tím, jestli si nespletla Hrabovou s Hrabůvkou a podchod u Benziny s podchodem u Dřevoprodeje. Nespletla se!

Předmětná diskuze mezi Ostravakem na kole a náměstkyní primátora

Předmětná diskuze mezi Ostravakem na kole a náměstkyní primátora

Mé níže uvedené otázky zodpověděla Mgr. Zuzana Bajgarová, náměstkyně primátora.

Jedná se skutečně o podchod pod Místeckou ulicí v místech mezi Hrabovou a Hrabůvkou? Tento podchod byl totiž rekonstruován teprve loni.

Ano, jde o Šídlovec. Podchod byl rekonstruován částečně, nad rámec původní rekonstrukce však došlo při realizaci k úpravě některých prvků, které jsou nyní předmětem řešení. Faktická úprava mostní konstrukce, které způsobuje mostní zatékání dosud neproběhla, bude ji realizovat vlastník, kterým je Ředitelství silnic a dálnic v období 04/2022. Momentálně zajišťují stavební povolení.

Kdo bude investorem této akce a jaká je předpokládaná částka?

Investorem úprav stezky je statutární město Ostrava, částku dalších úprav nyní neznáme, projekt se momentálně připravuje k přepracování.

Bude něco na rekonstrukci přispívat Hrabová, Jih a ŘSD?

Ano, bude přispívat ŘSD viz výše.

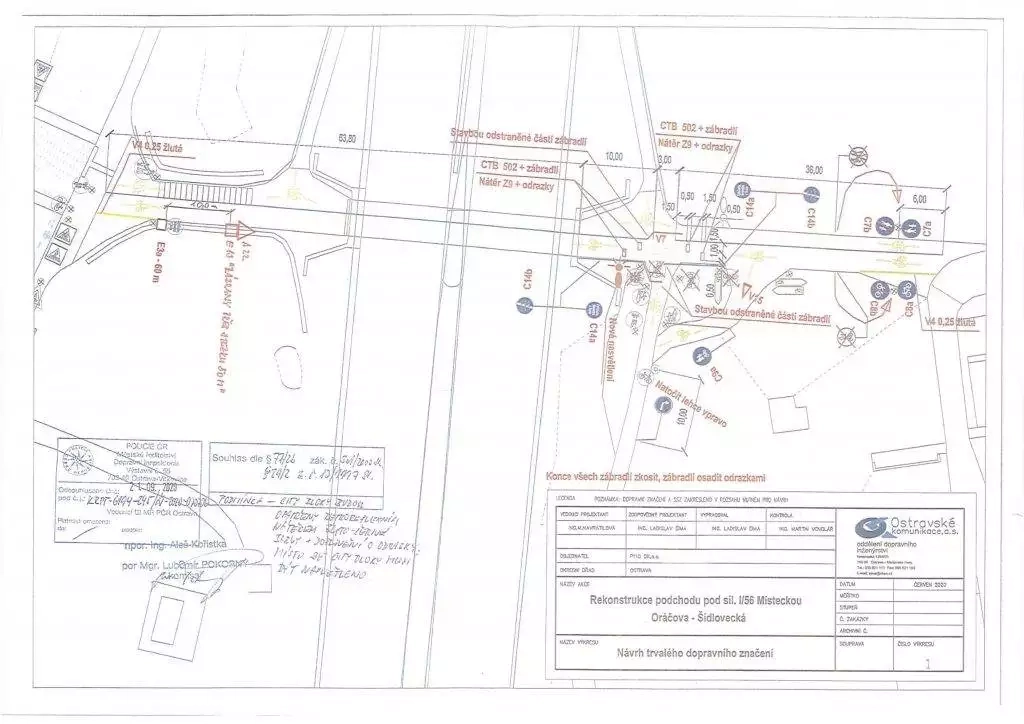
Byla udělána studie? Pokud ano, pošlete mi ji prosím.

Na aktuální řešení byl zpracován jen projekt dopravního značení viz. příloha níže.

Kdy je předpokládaný termín dokončení projektu?

Schválený projekt je nyní ukončený, diskuze se vede o možné úpravě, ale v dílčích parametrech, reálný ternín je 2022-2023.

Kdy je předpoklad realizace Vámi avizovaného kultivovaného řešení, na kterém se začíná pracovat?

Realizaci předpokládáme v letech 2022-2023.

Projekt dopravního značení

Projekt dopravního značení

 

Štítky:

Komentáře jsou uzavřeny.

[email protected] [email protected]